【公式】不動産の購入・賃貸情報サイト|イオンハウジング > はなだてタウンやはば 区画No.8-8
019-613-2372
10:00~19:00 定休日:-










(※元利均等方式 金利5.00%まで ※返済年数5~50年まで入力できます)
(※ボーナスは年2回で計算しています。1000万円まで入力できます)
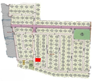
| 所在地 | 岩手県紫波郡矢巾町大字南矢幅第11地割 | ||
|---|---|---|---|
| 交通 | |||
| 価格 | 916.7万円 | ||
| 土地の敷金/保証金 | -/- | 借地料/借地期間 | -/- |
| 土地面積(坪数) | 167.51㎡(50.67坪) | 坪単価 | 18.09万円 |
| 私道負担面積/セットバック | -/無 | ||
| 傾斜地部分面積 | - | 路地状敷地 | - |
| 土地権利 | 所有権 | 接道状況 | -(西 公道 6.0m 間口 11.3m) |
| 都市計画 | 市街化区域 | 用途地域 | 第一種住居 |
| 建築条件 | 有 | 地目/地勢 | 宅地/平坦 |
| 建ぺい率 | 60% | 容積率 | 200% |
| 総区画数 | - | 販売区画数 | - |
| 国土法届出要否 | 不要 | その他の法令上の制限 | - |
| 取引態様 | 売主 | 現況 | 更地 |
| 引渡時期 | 即時 | 引渡条件 | 更地渡 |
| 最適用途 | - | ||
| 物件番号 | 98185468 | ||
| 設備条件 |
|
||
| 取扱会社 |
|
||
※建築条件付き土地とは、その土地に建築する建物の建築請負契約が、 一定期間内に成立することを条件として売買される土地のことをいいます。 建築請負契約成立に向けて設計プランを協議するため、 土地購入者が自己の希望する建物の設計協議をするために必要な相当の期間の交渉期間が設定され、 その期間内で希望を満たすプランが実現できるかどうかにより結論を出します。 なお、この期間は概ね3ヶ月程度とされています。 納得のいくプランが出来ず、建築請負契約が成立しない場合、土地売買契約は白紙に戻り、 土地契約にかかった代金(土地代金、手付金など)は名目のいかんに関わらず、全て返却されます。
※地図上に表示される物件の位置は付近住所に所在することを表すものであり、実際の物件所在地とは異なる場合がございます。
紫波郡矢巾町にある駅から探す